SKIP TO PAGE CONTENT

WT Breaks Ground on New $15 Million Feedlot and Educational Complex

Research Feedlot Complex Groundbreaking
Chip Chandler Nov 10, 2025
  • One West
  • Community
  • Research
  • Excellence
  • Agriculture
  • Featured

WT Breaks Ground on New $15 Million Feedlot and Educational Complex

Copy by Chip Chandler, 806-651-2124, cchandler@wtamu.edu

 

CANYON, Texas — Ground was broken Nov. 10 on the West Texas A&M University Foundation’s innovative, $15 million research feedlot complex.

The WTAMU Foundation Research Feedlot and the Paul F. and Virginia J. Engler Foundation Feedlot Education Facility will provide a state-of-the-art education for WT students, directly benefitting beef producers around the Panhandle, the state and the world.

Support for the multimillion-dollar facility comes from a combination of individual donors and the U.S. Department of Agriculture.

“Thanks to our generous donors and the steadfast partnership with the WTAMU Foundation, we are going to have a research feedlot designed for strengthening the fed-beef and related industries through research, innovation and education,” WT President Walter V. Wendler said in prepared remarks. “This feedlot, coupled with the other facilities and disciplines, will serve as a hub for discovery—where science meets soil, where data meets hard work, and where students learn not only the how but the why behind feeding a nation.”

The feedlot and education building will help maintain WT’s leadership in large food animal teaching, research and service through the Paul Engler College of Agriculture and Natural Science and the Department of Agricultural Sciences .

“This project is the result of effort and action of hundreds of people from the University, industry and government who rallied around a common desire to position WT as the prime institution for research and education in the area of beef cattle feeding and meat production,” said Dr. Kevin Pond, dean of the Engler College of Agriculture and Natural Science. “It is a textbook example of what happens by working together toward a common goal without worrying about who gets the credit.”

Planning for the new facility has been ongoing for several years, culminating in a 2024 land legacy gift of 42.84 acre s adjacent to WT’s Nance Ranch by brothers and Canyon ranchers Mike and Gary Kuhlman, as well as in a $2.1 million USDA grant for the attached education center.

The Engler Foundation gave $2 million to the project, and Champion Feeders gave an additional $1 million to the effort.

“This research feedlot represents what is best about the Texas Panhandle—a spirit of hard work, innovation and collaboration,” Wendler said. “The feedlot will connect our students to opportunity, our faculty researchers to impact, and WT to the people we serve.”

Construction is expected to begin in the winter on the education center and later in 2026 on the feedlot.

Feedlot Rendering 111025

Photo: This conceptual rendering shows plans for the WTAMU Foundation Research Feedlot.

Because the USDA grant required that the recipient of the grant own the education facility, the WTAMU Foundation will own the building and feedlot, both of which will be managed and operated by the University itself.

“Building a research feedlot aligns well with the Foundation’s mission to support WT’s goal to redefine excellence in higher education and be a regionally responsive research university,” said Shyla Buckner, president of the WTAMU Foundation, in prepared remarks.

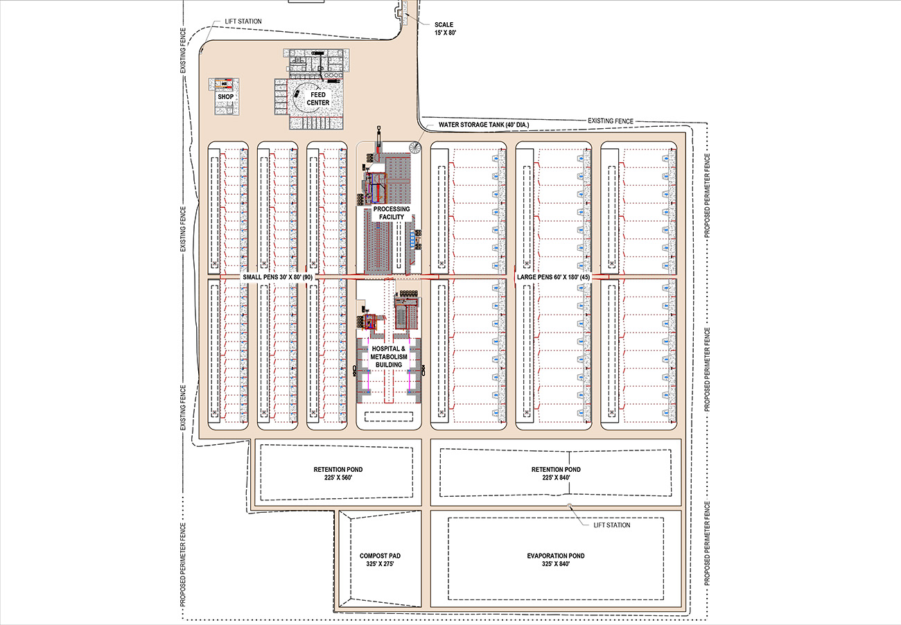
The combined facilities, which will be constructed southwest of the existing WT feedlot near Nance Ranch east of Canyon, is expected to include an educational center with a classroom and small auditorium; 90 10-head pens; 40 70-head pens; state-of-the-art technology for monitoring and feed manufacture and delivery; and a top-of-the-line animal-processing facility and feed mill.

The addition of the research feedlot further solidifies WT’s classification as a Research University by the Carnegie Foundation.

Since 2021, agricultural research funding at WT has increased by 161 percent, and research funding requests have surged by 434 percent, said Dr. Angela Spaulding, vice president for research and compliance and dean of the  Graduate School .

“That’s a testament to the energy and ambition of our faculty, students and partners,” Spaulding said in prepared remarks. “That is why today’s groundbreaking is so meaningful. The WT Research Feedlot project serves as a declaration of purpose, demonstrating how research grounded in the Texas Panhandle advances feedlot efficiency, beef quality and industry innovation.”

Other major individual and corporate donors making lead gifts include Merck Animal Health, Kuhlman & Sons, Dean Cluck Feedyard, Farm Credit, V.H. Harmon Jr., Bar K Cattle Co., Mc6 Cattle Feeders, BJM Sales & Services, and Kemin Animal Nutrition and Health.

The WTAMU Foundation Feedlot and Engler Foundation Education Center further extends WT’s footprint on the ranchlands east of Canyon.

The Nance Ranch , located about seven miles east of Canyon, consists of 2,393 acres including the headquarters. Given to WT in 1971, it is used as a working laboratory for WT’s animal science program as well as the Semi-Arid Agricultural Systems Institute and the plant and soil science program, providing numerous research and teaching opportunities for faculty and students.

Feedlot Education Rendering111025

Photo: This conceptual illustration shows the Paul F. and Virginia J. Engler Foundation Feedlot Education Facility.

The planned feedlot is part of a concerted effort to enhance educational opportunities in agriculture at WT through the Center for Advancing Food Animal Production in the Panhandle and through the  Feedlot Research Group , which offers opportunities for applied research in animal health and epidemiology; environmental science; meat science; and ruminant nutrition and management.

CAFAP enables students to specialize in animal health, animal care, animal nutrition and pre- and post-harvest food science/food safety.  A $6 million state allocation announced in June 2023  provided significant resources for CAFAP, enabling expansions in research for the food animal industry, in the use of water in animal production and other high-impact areas, through a combination of personnel from WT;  Veterinary Education, Research and Outreach , or VERO;  Texas A&M AgriLife Research and Extension ; and the  Charles W. Graham DVM Texas A&M Veterinary Medical Diagnostic Laboratory . VERO is the unique 2+2 veterinarian training program housed at both WT and Texas A&M College of Veterinary Medicine & Biomedical Sciences.

Since 2016, more than $120 million has gone into expanding WT’s agricultural programs, including the construction of WT’s Agricultural Sciences Complex, which contains the Happy State Bank Academic and Research building; the Caviness Meat Science and Innovation Center; the Piehl-Schaeffer Pavilion and the Bain Event Center; and The Charles W. “Doc” Graham ’53 DVM, The Texas A&M University System Center, which encompasses VERO and TVMDL. 

Construction is expected to conclude soon on the Texas A&M AgriLife Research and Extension Center on the northeast corner of WT’s campus.

Addressing regional challenges, including in agriculture, is the key mission of the University’s long-range plan, WT 125: From the Panhandle to the World .

That plan is fueled by the historic  One West  comprehensive fundraising campaign, which reached its initial $125 million goal 18 months after publicly launching in September 2021. The campaign has raised more than $175 million and will continue through 2025.

 

About West Texas A&M University

A Regional Research University, West Texas A&M University is redefining excellence in Canyon, Texas, on a 342-acre residential campus, as well as the Harrington Academic Hall WTAMU Amarillo Center in downtown Amarillo. Established in 1910, the University has been part of The Texas A&M University System since 1990. A Hispanic Serving Institution since 2016, WT boasts an enrollment of more than 9,000 and offers 66 undergraduate degree programs, including eight associate degrees; and 44 graduate degrees, including an integrated bachelor’s and master’s degree, a specialist degree and two doctoral degrees. WT recently earned a Carnegie Foundation classification as a Research College and University. The University also is home to the Panhandle-Plains Historical Museum, the largest history museum in the state and the home of one of the Southwest’s finest art collections. The Buffaloes are a member of the NCAA Division II Lone Star Conference and offers 16 men’s and women’s athletics programs.

 

—WT—